Стартап Farsight Vision з України отримав 7,2 млн євро від європейських інвесторів з підтримкою платформи Brave1. Міністерство цифрової трансформації України повідомило про цю подію.

Компанія, яка є учасником платформи Brave1, займається розробкою штучного інтелекту для військової розвідки, що допомагає військовим швидше приймати рішення на полі бою.

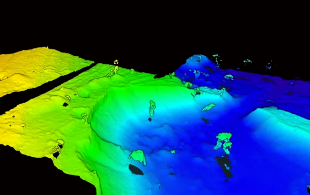
Ця платформа аналізує територіальні дані і в реальному часі надає інформацію операторам безпілотних літальних апаратів, створюючи чітку картину бойових дій. За словами Міністерства, ця технологія є альтернативою супутниковій розвідці.

«Інвестиції в українські стартапи з боку міжнародних гравців свідчать про довіру до наших технологій та підтверджують, що Україна визначає нові стандарти сучасної війни», – зазначено у повідомленні.

Згідно з інформацією Мінцифри, залучені кошти Farsight Vision планує інвестувати у розвиток роботизованих рішень для логістики, навігації та управління озброєнням, а також для посилення безпеки на полі бою.

Крім того, команда компанії має на меті інтегрувати свої технології в єдину систему, що підвищить автономність бойових дронів. Це рішення включатиме розвідку, визначення цілей та навігацію в останніх етапах польоту.

Згідно з інформацією Defender Media, інвестиційний раунд очолили американська корпорація Axon Enterprise та естонський фонд SmartCap Defence Fund, а також польський Radix Ventures і швейцарський Anker Capital.

Відомо, що технології компанії дозволяють у реальному часі перетворювати зображення з дронів у 3D-моделі і точні аерофотознімки території, з вбудованим виявленням об'єктів і відстеженням аномалій, навіть без GNSS.